Las Áreas Naturales Protegidas (ANP) marinas que resguarda la Secretaría de Medio Ambiente y Recursos Naturales, a través de la Comisión Nacional de Áreas Naturales Protegidas, constituyen los sitios mejor conservados de las costas y el mar territorial mexicano, en una extensión de 69,458,748 hectáreas, con lo que en gran medida se rebasa el cumplimiento de las Metas de Aichi.
El gobierno de la República, con la colaboración del sector académico, las organizaciones civiles y diversas fundaciones, ha logrado notables avances en todos nuestros ecosistemas marinos, donde existen palpables evidencias de franca recuperación.
Las Áreas Naturales Protegidas (ANP) marinas que resguarda la Secretaría de Medio Ambiente y Recursos Naturales, a través de la Comisión Nacional de Áreas Naturales Protegidas, constituyen los sitios mejor conservados de las costas y el mar territorial mexicano, en una extensión de 69,458,748 hectáreas, con lo que en gran medida se rebasa el cumplimiento de las Metas de Aichi.
En el marco de la Conferencia sobre la Biodiversidad COP13 el presidente Enrique Peña Nieto decretó cuatro nuevas ANP, tres de ellas marinas:
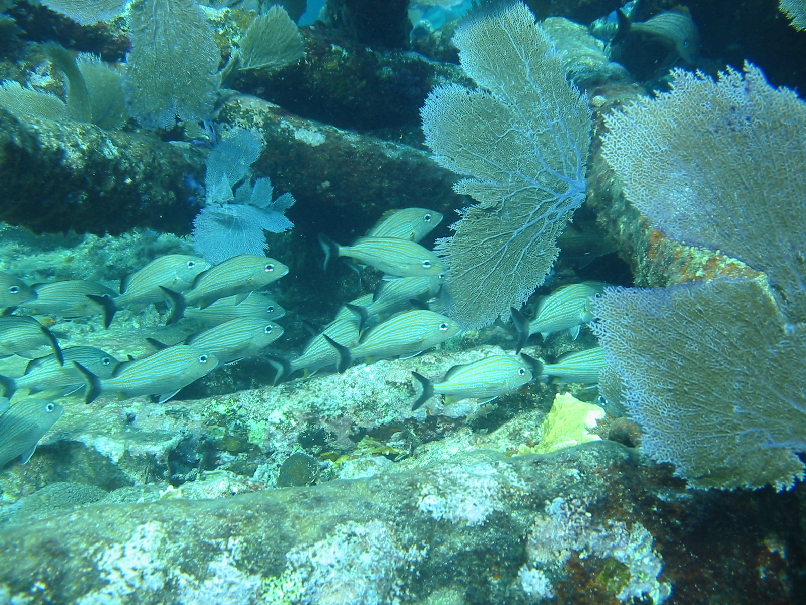
La Reserva de la Biosfera del Caribe Mexicano, en Quintana Roo, con 5.75 millones de hectáreas, representa 50% del Sistema Arrecifal Mesoamericano que abarca mil km a lo largo de México, Belice, Guatemala y Honduras.
El Pacífico Mexicano Profundo (Nayarit, Jalisco, Colima, Michoacán, Guerrero, Oaxaca y Chiapas) con 59.7 millones de hectáreas, es la iniciativa de mayor envergadura en la historia de la nación por la alta diversidad de especies y ecosistemas que atesora: zonas marinas profundas, oceánicas, de reproducción para tortugas marinas, de alta productividad, montes y cañones submarinos.
Las Islas del Pacífico constituyen un ecosistema de 21 islas y 97 islotes que suman 1.16 millones de hectáreas. Contienen más especies endémicas por m² que las Islas Galápagos, son hábitat único para aves marinas, tortugas, focas, lobos y elefantes marinos, y muy importante zona de reproducción para la ballena gris y de alta producción biológica y actividad pesquera.





















