Saltar al contenido
Menú
Secciones
Medio Ambiente
Naturaleza
Energías Renovables
Movilidad Eléctrica
CO2
Cambio climático
Sostenibilidad
Reciclaje y residuos
Alimentos ecológicos
Vida saludable
Eco América
Contactar
HoyECO
ECO News
Suscríbete
Naturaleza
El oro llegó a la Tierra en grandes impactos que azotaron el planeta
By
Pablo MantenimientoWeb
—
10 de diciembre de 2010 a las 09:50
El caballo salvaje ancestral procedía de tres linajes genéticos
By
Pablo MantenimientoWeb
—
9 de diciembre de 2010 a las 17:18
Cáceres es el municipio número 100 que se adhiere a la Red por el Águila Imperial Ibérica de Seo BirdLife
By
Pablo MantenimientoWeb
—
9 de diciembre de 2010 a las 16:52
Los embalses crecen en casi 700 hm3 esta semana y sobrepasan el 68 por ciento de su capacidad
By
Pablo MantenimientoWeb
—
9 de diciembre de 2010 a las 16:12
La trinchera de México contra cambio climático está en los bosques
By
Pablo MantenimientoWeb
—
9 de diciembre de 2010 a las 11:02
En peligro miles de hectáreas de la Selva Lacandona
By
Pablo MantenimientoWeb
—
9 de diciembre de 2010 a las 10:59
Las playas sudamericanas y caribeñas retrocederán 20 cm al año
By
Pablo MantenimientoWeb
—
9 de diciembre de 2010 a las 10:48
En busca de las virtudes climáticas del bambú
By
Pablo MantenimientoWeb
—
9 de diciembre de 2010 a las 10:08
Plagas urbanas
By
Pablo MantenimientoWeb
—
9 de diciembre de 2010 a las 10:05
Nace una plataforma para frenar el proyecto del MARM y la CHS de entubamiento del río Segura
By
Pablo MantenimientoWeb
—
9 de diciembre de 2010 a las 09:37
Aplazada hasta enero la visita de la Unesco a Doñana
By
Pablo MantenimientoWeb
—
9 de diciembre de 2010 a las 09:35
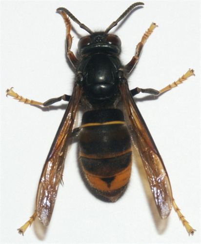
La ADS apícola de Huesca alerta de una posible invasión de vespa velutina en la provincia
By
Pablo MantenimientoWeb
—
8 de diciembre de 2010 a las 12:37
Los gorilas de montaña se recuperan en Virunga
By
Pablo MantenimientoWeb
—
8 de diciembre de 2010 a las 11:48
La reintroducción de especies ayuda en la conservación de la biodiversidad
By
Pablo MantenimientoWeb
—
7 de diciembre de 2010 a las 16:46
IULV-CA presentará una PNL para ampliar en 7.000 hectáreas más Doñana
By
Pablo MantenimientoWeb
—
7 de diciembre de 2010 a las 16:45
La mayoría de las CCAA incumplen la ley europea de la red Natura 2000
By
Pablo MantenimientoWeb
—
7 de diciembre de 2010 a las 10:48
Redescubrimiento de Bromelias en El Dorado
By
Pablo MantenimientoWeb
—
7 de diciembre de 2010 a las 10:47
Los océanos, los grandes olvidados de la Cumbre del Clima
By
Pablo MantenimientoWeb
—
7 de diciembre de 2010 a las 10:39
Atún rojo, en peligro de extinción
By
Pablo MantenimientoWeb
—
7 de diciembre de 2010 a las 10:38
Cuatro aviones españoles participan en la extinción de un incendio en Israel
By
Pablo MantenimientoWeb
—
6 de diciembre de 2010 a las 11:53
Un tiburón mata a una turista alemana en el mar Rojo
By
Pablo MantenimientoWeb
—
6 de diciembre de 2010 a las 11:48
PSOE-A pide a la Junta que diseñe una ruta para autocaravanas a través de los 24 parques naturales andaluces
By
Pablo MantenimientoWeb
—
6 de diciembre de 2010 a las 10:56
Parlamento andaluz debatirá la autorización de un convenio en prevención y extinción de incendios con Castilla-La Mancha
By
Pablo MantenimientoWeb
—
6 de diciembre de 2010 a las 10:55
Brazil reports huge success of Amazon protection programs
By
Pablo MantenimientoWeb
—
5 de diciembre de 2010 a las 19:06
Sueltan crías de linces en Guarrizas nacidas en cautividad
By
Pablo MantenimientoWeb
—
4 de diciembre de 2010 a las 23:52
Anterior
1
…
1.339
1.340
1.341
1.342
1.343
1.344
1.345
…
1.474
Siguiente
Últimas Noticias
Una jueza paraliza una carretera por la aparición de un animal que llevaba 30 años extinguido
Publicado el: 10 de marzo de 2026 a las 15:34
La reserva hídrica española continúa rozando el 83 %
Publicado el: 10 de marzo de 2026 a las 15:30
Captan a un tiburón peregrino gigante en aguas poco profundas y esta es su verdadera peligrosidad
Publicado el: 10 de marzo de 2026 a las 12:57
Gobierno vasco rechaza parque eólico Kastillo por su fuerte impacto ambiental
Publicado el: 10 de marzo de 2026 a las 12:36
Parlamento de Cantabria rechaza seis parques eólicos por impacto territorial
Publicado el: 10 de marzo de 2026 a las 12:33
Madrid reúne expertos internacionales para proteger pastoreo y defender la ganadería extensiva
Publicado el: 10 de marzo de 2026 a las 12:00
WWF respalda a la Fiscalía para exigir responsabilidad ambiental por extracciones ilegales de agua en Doñana
Publicado el: 10 de marzo de 2026 a las 11:34
PP de Menorca rechaza parques eólicos marinos por impacto ambiental
Publicado el: 10 de marzo de 2026 a las 11:25
Secciones
Medio Ambiente
Naturaleza
Energías Renovables
Movilidad Eléctrica
CO2
Cambio climático
Sostenibilidad
Reciclaje y residuos
Alimentos ecológicos
Vida saludable
Eco América
Contactar
HoyECO
ECO News
Suscríbete
Cerrar